今日から11月、早いもので今年も後2ヶ月しかないのですね。
月日の経つ速さには付いて行けない感じで、まるで坂道を転げ落ちるが如くです。
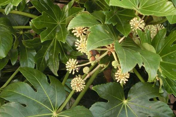
今回の掲載は、先月末に持病で寝込んでいたものか、その前に撮って来ていたお花のアップです。
1)「ヤツデ(八つ手)」 ウコギ科ヤツデ属の常緑低木。

2)これから咲き出す部分って、こんな感じの形をしているのですね。

3)こちらは咲き出したばかりの部分で、一番綺麗な頃でしょうか・・。

4)一本の木でも陽当りによってかなり咲き方が違い、こちらはもう散りかけていました。

こんばんは。
そうそう、今頃の季節はヤツデが咲いていますね。
同じ木でも場所によって咲き具合が違うのですね!
こんにちわ。
ヤツデは、強い植物ですね。
油断すると、大きくなってて、抜くのが大変です。
静さん
コメントと有難うございました。
ヤツデって、ちょうど今の時期に咲くお花ですよね。
これ一本の木なのですが、場所によって日当たりが違うのか、咲き具合も違っていましたよ。
アトムパパさん
コメント有難うございます。
ヤツデって、そんなに強い植物なのですか・・。
私は植えた事が無いものかよく知らないのですが、抜くのも大変なのですね。
こんばんは
八つ手の花の季節なのですね。
この花を見ると 冬になってきたな~と感じます。
鳥さんの落し物でしょうか時々庭にでてきます。
あららままさん
コメント有難うございます。
季節の移り変わりって早いもので、もうヤツデが咲いていました。
あららままさんのお宅でも、時々庭に芽吹いて来るのですか・・。
こまめに抜いておかないと、大きく成る木ですものね。
ヤツデの花の季節なんですね。今年も残る処2ヶ月ですね。
明日我家のも確認してみます。
hanakoさん
コメント有難うございます。
もうヤツデの咲く季節に成りましたよね。
このお花が咲き出すと、今年も後僅かだなって思いますよ。
hanakoさんのお宅でも咲いているのではないでしょうか・・。